SIGN UP CUSTOMER LOGIN
Main Photo

10 Total Photos [Click to View All]

Main Photo
Main Photo
Listing Courtesy Of:

Listing Office: Keller Williams North Shore West

Listing Office Phone: (262) 877-2100

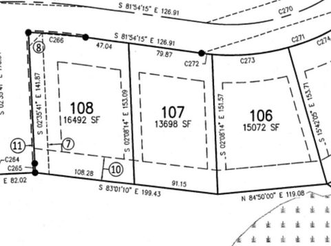
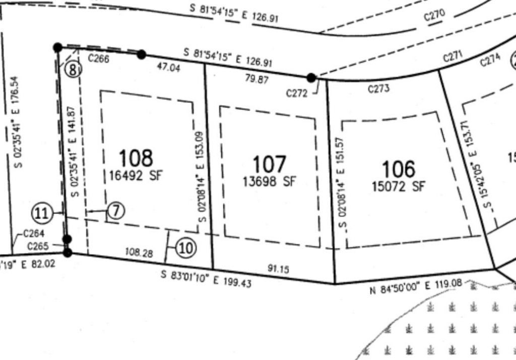
Lt107 Highland Pl Pleasant Prairie, WI 53158

$199,900
Active / MLS# 1928756 / Land - Residential / Pleasant Prairie
0 Beds

Welcome to Highland Estate Development, Pleasant Prairie's most exciting new residential community! Lot 107 is a generously sized homesite offering 13,698 square feet with spacious views--perfect for bringing your dream home to life. Phase 1 is officially underway, giving you the opportunity to bring your own builder or work with one of our trusted partners. Designed with lifestyle and livability in mind, Highland Estates offers the perfect blend of community, comfort, and convenience in a prime location. Don't miss your chance to call this exceptional neighborhood home!

Read More » Read Less »

Baird & Warner Carolyn Schartz Agent Cell: 847.502.0918 Email

Mortgage Calculator

%
years/fixed
yearly
yearly (est.)
(Payments are an estimate and may vary by lender)

Estimated Payment

$ 502.53 per month $444.22 Principal & Interest $0.00 Property Tax (data not provided by mls) $58.30 Homeowner's Insurance
Get your competitive financing options.

Property Details

Property Type: Land - Residential
Lot Size: 0.31 Acres
Taxes: $0

Feature Descriptions

Buildings Included: None
Data Source: Metro MLS
Development Status: Site Plan Recorded
Flood Plain: No
Location: Suburban
Lot: Basement below grade
Lot: Basement below grade
Miscellaneous: Existing Curb/Gutter, Existing Sidewalk
Road Frontage: Paved Road, Town/City Road
Topography: Association, Level, Subdivision
Utilities Available: Cable Available, High Speed Internet Available, Natural Gas Available, Phone Available, Underground Electric
Water/Sewer: Sewer, Water Municipal
Zoning: Residential - Single

Schools

School District: Kenosha

Disclaimer: The accuracy of all information regardless of source, including but not limited to square footage and lot size, is deemed reliable but not guaranteed nor warranted and should be personally verified through personal inspection by and/or with the appropriate professionals.

Location

See details and scored characteristics about this location.

Login to my Baird & Warner account

Pixel